
This is a placeholder text
Group text
by Ryanhaus on 04 May 2012 - 20:05
Thanks!

by DDRCzechFan on 04 May 2012 - 21:05
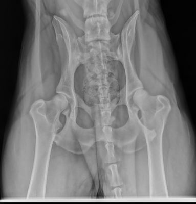
I'm no hip expert, by any means but I'd say Good or if nothing better, at LEAST a Fair from OFA.
by Blitzen on 04 May 2012 - 23:05
by DDRCzechFan on 05 May 2012 - 00:05
Is it because it ALMOST looks like the legs are being pulled UP? Positioning of the pelvis overlaping hip positioning?
by CMills on 05 May 2012 - 01:05
by Blitzen on 05 May 2012 - 02:05
The positioning needs to be symetrical, the legs parallel and the knees on the film and rotated inwardly. Exposure isn't great, but it's acceptable I think. I don't see any permanent left or right markings or any information on the dog or the owner. OFA rquires all of that.
by Sontausen on 05 May 2012 - 04:05
by beetree on 05 May 2012 - 19:05
Now, I know it isn't fair to discuss them because of the X-ray quality faults, but even so, the hips do not look alike to me, so that would suggest some issues? Like DDRCzechfan says, just trying to learn....
by DDRCzechFan on 05 May 2012 - 19:05
I too, Beetree thought the sockets looked a HAIR different, but as you said, it wasn't fair to comment being as they aren't OFA quality. Nothing against you, Mirasmom, to be honest, I'd probably have walked out the door of the vet's office not knowing any better and would've submitted them to OFA without a second thought.
I still think they look like Good hips though, and would hope they would continue to look good with a new xray of them
by Blitzen on 05 May 2012 - 20:05
Contact information Disclaimer Privacy Statement Copyright Information Terms of Service Cookie policy ↑ Back to top



